2410 W Roosevelt Boulevard
$5,500 Active

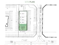
+/- 3000 SF commercial space for lease $22/SF NNN. Prime location as a Walmart outparcel along a high-traffic commercial corridor with excellent visibility and easy access to major routes. This property is strategically located with visibility on US Highway 74/W Roosevelt Blvd in Monroe NC and close to many restaurants, retail and other businesses. Surrounding businesses include: Rolling Hills County Club, Chick-Fil-A, Walmart Supercenter, Lowes Home Improvement, Monroe Aquatics and Fitness Center, Monroe Crossing Mall, and many others.

Request More Info:

Basic Information
MLS#: 4341606
Price: $5,500
Acreage: 0.93
Details
Listing Courtesy Of: Moser Group, Inc., The - mmoser@themosergroupinc.com

Terms of use/DMCA